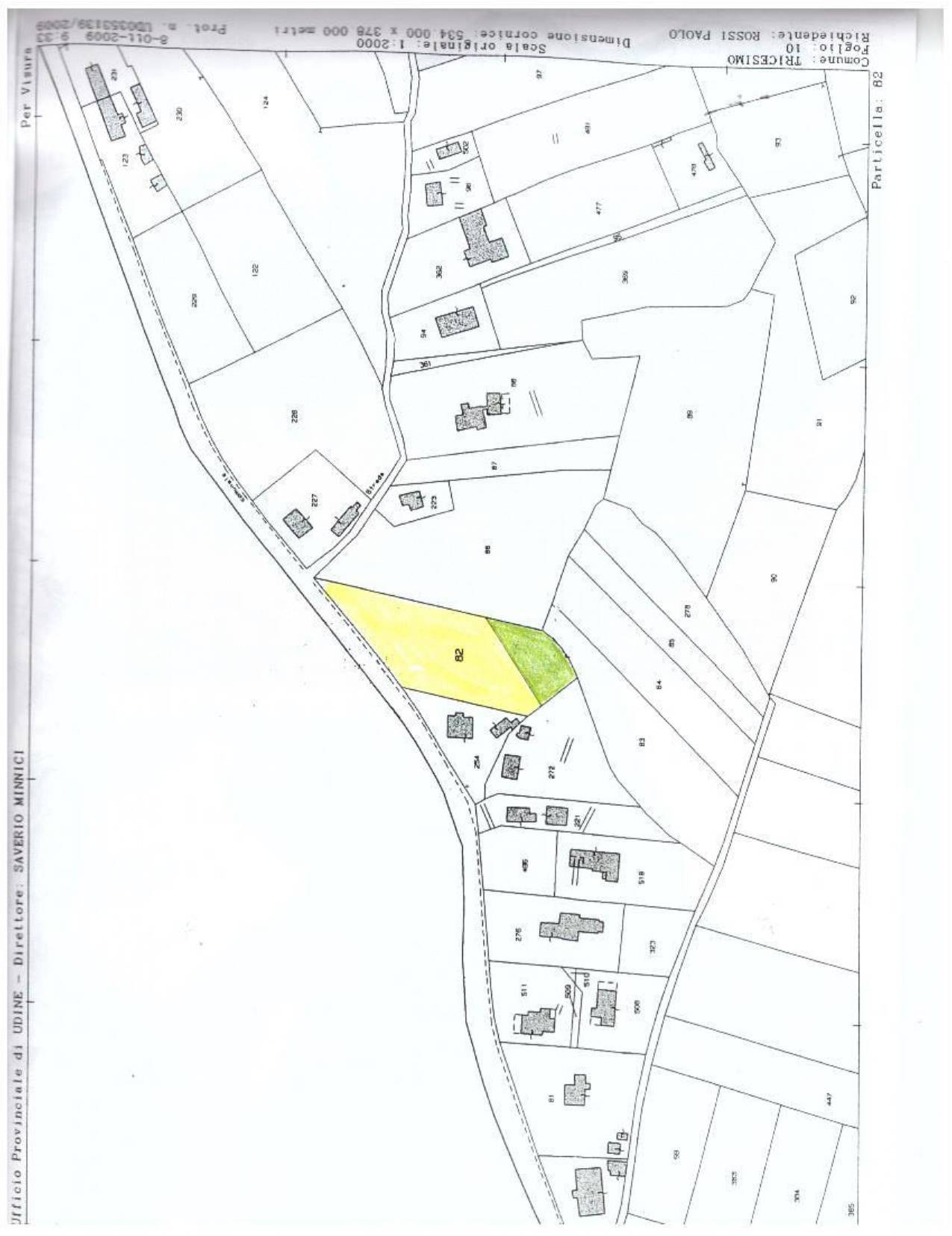
A Tricesimo, frazione Ara Piccola, proponiamo un terreno edificabile di 3.850 mq, di cui 3.000 mq in zona edificabile e 850 mq in zona verde agricola.
Situato in un’area pianeggiante e di forma rettangolare, il lotto si trova a pochi passi dal centro di Tricesimo e dai principali servizi della zona.
Le caratteristiche urbanistiche prevedono:
- indice di edificabilità 0,5 mc / mq
- altezza max 7,5 metri
- distanza dalla strada principale 10 metri
- distanza da altri confini 5 metri
Con la possibilità di costruire fino a due unità abitative.
Le utenze sono già presenti sulla strada, rendendo il terreno pronto per la progettazione e la costruzione.
Una soluzione ideale per chi cerca un’area residenziale tranquilla, immersa nel verde, ma ben collegata ai servizi del paese.
Indirizzo: Via Ippolito Nievo,
Fronte strada
Palestre
Centri Benessere
Campi da Calcio
Complessi Sportivi
Campi da Tennis
Piste Ciclabili
Parchi Giochi
Stazione Ferroviaria
Trasporti Pubblici
Asilo
Scuole Elementari
Scuole Medie
Scuole Superiori
Bar
Uffici postali
Centri commerciali
Uffici comunali

